조황관리HOME / 조황관리 / 상세정보

제목 : 1월 14일.먼바다 흑산도 침선 어초 우럭낚시 조황입니다
등록일 : 2026-01-16
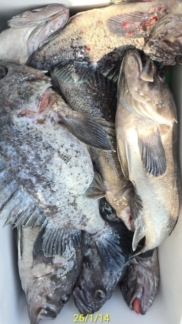
먼바다 흑산도 침선 어초 우럭낚시 다녀왔습니다
쿨러 조황하고 손맛 찐하게 보았습니다
2월 1박2일 출조와 3월 출조까지 잡혔으니
사이트나 전화로 예약하세요
문의 :010 3628 4993

KakaoTalk_20260116_150634520.jpg


KakaoTalk_20260116_150634520_02.jpg





KakaoTalk_20260116_150634520_04.jpg

KakaoTalk_20260116_150634520_07.jpg


KakaoTalk_20260116_150634520_08.jpg


KakaoTalk_20260116_150634520_09.jpg


KakaoTalk_20260116_150634520_12.jpg


KakaoTalk_20260116_150634520_13.jpg


KakaoTalk_20260116_150634520_18.jpg


KakaoTalk_20260116_150634520_19.jpg


KakaoTalk_20260116_150634520_15.jpg


KakaoTalk_20260116_150634520_20.jpg


KakaoTalk_20260116_150634520_21.jpg


1월 수정.jpg


2월 수정.jpg


3월 수정.jpg


 



=== 바다의신 예약안내 ===


> 바다의신 에기 구매처 : https://smartstore.naver.com/neptune/products/9298627083

> 예약문의 : 010-3636-4993  010-3628-4993 

> 바다의신 본사 : 인천광역시 계양구 청안로 40, 3층(효성동)

> 바다의신 제부도 출조점 : 화성시 서신면 해양공단로 9-1
 

> 홈페이지 : http://neptune.sunsang24.com/


> 바다의신 밴드 바로가기
http://band.us/@cms4993 

모바일.jpg 

Top