조황관리HOME / 조황관리 / 상세정보

제목 : 26년 1월 14일. 먼바다 공해상 홍어골 우럭 쿨러조황입니다
등록일 : 2026-01-16
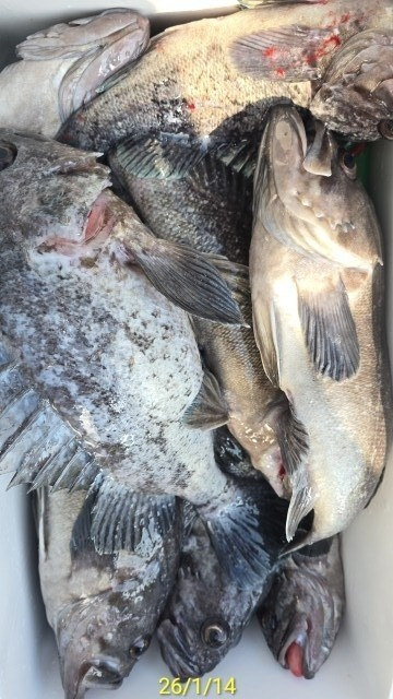
14(수)일 홍어골 할배우럭 다녀왔습니다
전원 쿨러 조황하고 손맛보고 왔습니다~
2월 초에는 1박 2일 일정 잡았습니다
예약문의 : 바다의신 출조 사이트 또는
전화 예약(010 3628 4993)

KakaoTalk_20260116_150634520.jpg


KakaoTalk_20260116_150634520_01.jpg


KakaoTalk_20260116_150634520_02.jpg


KakaoTalk_20260116_150634520_03.jpg


KakaoTalk_20260116_150634520_04.jpg


KakaoTalk_20260116_150634520_05.jpg


KakaoTalk_20260116_150634520_06.jpg


KakaoTalk_20260116_150634520_07.jpg


KakaoTalk_20260116_150634520_08.jpg


KakaoTalk_20260116_150634520_09.jpg


KakaoTalk_20260116_150634520_11.jpg


KakaoTalk_20260116_150634520_12.jpg


KakaoTalk_20260116_150634520_13.jpg


KakaoTalk_20260116_150634520_15.jpg


KakaoTalk_20260116_150634520_16.jpg


KakaoTalk_20260116_150634520_17.jpg


KakaoTalk_20260116_150634520_18.jpg


KakaoTalk_20260116_150634520_19.jpg


KakaoTalk_20260116_150634520_20.jpg


KakaoTalk_20260116_150634520_21.jpg





=== 바다의신 예약안내 ===


예약문의 : 010-3628-4993

오시는길 : 인천광역시 계양구 청안로 40, 3층(효성동)

홈페이지 : http://neptune.sunsang24.com/


바다의신 밴드 바로가기
http://band.us/@cms4993 

모바일.jpg 

Top